石垣島 ダイビング     2009年 7月 18、19日

Div.N0 90   2009/07/18   伊戸名水路

久しぶりのダイビングであるし、昨年、アクシデントがあったので、

浅い所での、チェックダイブ、 リフレッシュダイブを、 お願いしたら、

14:30から、 何と私達2人だけでの ボートダイブを組んでくれ、

マスククリア、レギュレータクリア、中性浮力のチェック、などなど、の講習をやってくれた。

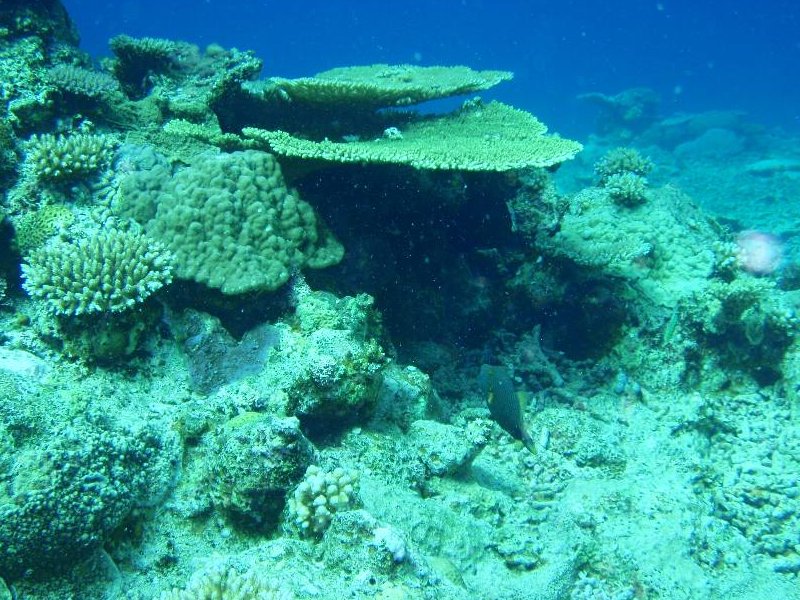
水深 5〜15m 近くの浅いポイントで40分ほどのダイビング、 

台風のうねりの影響か、透明度はイマイチ 10M程度だったが、

魚たちも多く、のんびり、ゆっくりダイビングで、楽しみながら勘を取りもどすことができた。  感謝。

1      たくさんの魚が

2      群れて泳いでいる

3  スカシ テンジクダイ

4.          モンハナ シャコ

5           バイカ ナマコ のアップ

6      バイカ ナマコ

7            シマキンチャクフグ

8         スズメダイ

9               ウミヘビ

10          へコアユ  逆立ちで、泳いでいる

10a   ツノダシ

10b 輪になって、遊ぶ

10c ハタタテハゼ

11      透明な  ニセアカホシカクレエビ           ナガレハナサンゴに居る

Div.N0 91   2009/07/19   米原Wリーフ南

私達は。2ボートの予定なので、1回は、船で休憩となる予定。

1本目、 2本目は、 米原  3本目がマンタスクランブル

午前のダイビング、 この日は、波もなく、台風の影響はまったくなし。

潜行したら、素晴らしい透明度、 25mはあるか、ハワイ島に近いくらい?

珊瑚の根がたくさん、魚は、多く種類も豊富、 前日のチェックダイブのおかげで、全くストレスなくダイブできる。

クマノミ、5種をしっかり見て、 50分程度のダイブ、 

光の入る浅い、透明度の良い海を、のんびりと潜る、という、ここ数年、思い描いていた、理想のダイビング

それが、ここで 出来たのである。 大感激。

12   夢の世界

13        幻想的

14                      ナンヨウブダイ

15                     ハナビラ クマノミ

16                  クマノミ

15             カクレクマノミ 

16          セジロ クマノミ

17       ガイドさんと 遊ぶ ハマクマノミ   (実は、防衛・攻撃行動)

18             ネッタイスズメダイ

19     ヘラヤガラ と 多くの おさかな

20           泡のリングを作る ガイド 高木さん

21             浮上中

船で、ランチ

波が無く、まったく揺れることのない、船でのんびりと、休憩できた。

おばさんパワー 昨年ライセンスをとった、ばかりなのに、もう30本潜っている、スーパー・オバちゃんたち 

休憩時間に、シュノーケリングをする パワフルさに 驚く。

Div.N0 92   2009/07/19   米原Wリーフ東

午後のダイブも、透明度抜群、波なし 珊瑚の海を満喫できた。

22      ウミヘビ

23      ロクセンスズメダイ   デバスズメダイ 

24             お魚、いっぱい

25          フエヤッコダイ       

26         お魚を、見つめる 素浪人2

27

28              幻想的

29       ハダカオコゼ   上に、赤いのも いた

Div.N0 93   2009/07/19   マンタスクランブル

2ダイブの予定だったが、船上で待っているのも、つまらないので、3本目を潜る。

前のダイブで、写真を撮りすぎ、バッテリー切れで、マンタは撮れなかったので、

(予備のバッテリーを、石垣空港かどこかで、落としてしまったのだ)

マンタの写真は、マリンメイトさんのHPからお借りした写真です。

本目、 マンタスクランブルは、潜る気はなかったが、 船の上で、まっているのも暇だし、

マンタの出現はは、あまり期待しないが 海の中で待とうと、私だけ、追加でダイビング。

 

マンタの根に近づいたら、ガイドのパネル  マンタが来てる と書いてある。

根にとりつき、見ると、 いた〜、マンタだ、 2匹、 

しばらく 観察  見えなくなり、 ステージは終わりか?と思ったら

ガイドが、私のフィンを引っ張り、位置の移動を促す、 移動したら。、なんと、またいた、 1匹 ちがう個体だ。

ゆくりと泳ぎ回り、私達の頭上数メートルに近づく、 息を止め、泡がマンタに当たらないよう様に注意する。

ダイビング協会で、マンタを守る為、 根の8合くらいで、動かずに見ることや、泡注意、などの努力があって 

今でも、マンタがくるのだそうだ。 

戻る