パラオ 4、5日目  ボートダイビング               2016.03.12-13

強い流れに流されないように 岩にカレントフックをかけロープで固定するのだ。

パラオのダイビングは大物や大群を見ることができるので、世界的に有数なスポットが多い、

しかし、外洋で流れが速いドリフトダイビングをするので、上級者でないと流される危険性が高い。

なので、軟弱ダイバーの私たちには、技術、体力的に難しいと思い、

魅力的ではあるがダイビングの為にパラオへ行く事はないだろう・・・・と考えていた。

 

今回の主目的は、ぺリリュー 慰霊訪島である

が、・・・・・・ せっかく パラオまで行ったら、ダイビングをしない手はない。

予約したダイビングサービスのスプラッシュさんの

プライベートダイブ(2人に1人のガイドがサポートしてくれる)をお願いし、

西表島以来、2年ぶりのダイビングであったが無事に潜ることができた。

ホテルへの迎えで、スプラッシュへ

この日は団体客でスプラッシュの船が満員、 ブルーマリンの船に便乗する。

スプラッシュのガイド米沢さんと私たち二人は、 ブルーマリンの船に便乗し、ダイビングスポットへ

最初のスポットまで、コロール島から船で 1時間ほどである。

潜る前のブルーマリンのガイドの説明に「なんとかフックをかけて・・・・・。」

? 何、それ??  なんとかフックなんて、いままで聞いた事がない、 

スプラッシュの米沢さんに聞くと、 流されないようにするフックです、全て私がやりますからご心配なく  との事

ドリフトダイビングで流れが強い所などで岩にフックをかけて流されないようにするもので、パラオで発祥したものだそうだ。

 

ダイブ No.106  ウーロンドロップオフ

二年ぶりの潜行なので、やや緊張 最初は息苦しさを感じたがすぐ慣れる。

エアータンクは11リッター いつもより10%大きいのもあり、最後のほうで浮力が大きくなるので浮き気味となる

深度 19.8m  43分

さすがにパラオ、小物の魚がウジャウジャいる

近くを いきなり ギンガメアジの群れ オオメカマスの群れが出てくる。 

そして オジロザメなども出てくる

さらに、オグロメジロザメ や ホソフエダイ も

オオメカマス

気持ちよく 水中遊泳

巨大なシャコガイ

さ、  サメ だ・・・・

いきなり出てきた ギンガメアジの群れ   ウジャウジャといるのだ。

 

 

2本目 

ダイブ No.107  シアーズコーナー

深度17m 44分

アカメハナゴイ ナポレオンフィッシュ ヨコシマサワラ アオヤガラ など

呼吸になれて、エアーが少なくなった最後でも浮くことはなくなった。

アカメハナゴイ などなど

この海の深さは、  何と! 8,000メートルなのだ。

初めて見た、ナポレオンフィッシュ

浮上し の〜んびり

静かな入り江で、ランチタイム

のんびりと休んでから、帰還した。

 

翌日  3/13

ダイビング 2日目 とてもリラックスしでダイビングできた。

 

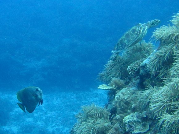
No.108  ゲメリスコーラルガーデン

深度 17.7m 48分

カンムリブダイ サザナミトサカハギ 色が変わる

ホソフエダイの群れ ヤマブキスズメダイ

アオウミガメ

丸いイソギンチャクにハナビラクマノミ  カクレエビ

この日は朝から良い天気  ホテルのベランダより

ポイントへ向かう

水がとってもきれい

ヤマブキスズメダイが フィンで遊ぶ

サザナミトサカハギ 色が変わる

左の写真と同じ個体  一瞬で真っ黒に変わる

アオウミガメ

ツバメウオが後からついて行く

手をふると寄ってくる

日本にはいないが和名のホソフエダイの群れ

これは、危険な魚 トリガーフィッシュ  背中に槍を立てたら要注意なのだ 

インドオキアジの群れ

いかにも、南の無人島 という雰囲気の 南の無人島(笑)

 

 

No.109 ブルーコーナー

深度21.6m 45分

イソマグロ 、オオメカマスの群れ 、

オグロメジロザメ 多数 、ホワイトチップシャーク

ブラックフィンバラクーダの群れ 、ギンガメアジの群れ

オニテングハギの群れ 、カスミチョウチョウウオの群れ

カスミアジ 、ロウニンアジ・・・・・・・

これでもか、これでもかと 魚の群れが次々と出現。

その種類と数の多さに、 沖縄ちゅらうみ水族館の大水槽の中にいるようだ。

オニテングハギの群れ   色違いは何?

イソマグロが通ります

水温の差で ぼやける魚影

  陸上のかげろうの様

大きなサメが近くを通るが  まわりに魚がうじゃうじゃいるので、自分がそのなかの一匹のような感じからか、サメに対する恐怖感は感じない

浮上直前に、タコを発見 

よくみると、交接腕が伸びていて、その先にはメスがいる

ガイドさんも、初めてという 見る事ができるのはとても珍しい、 ラッキー!

タコの交接  下の岩の陰にメスがいる

浮上時は、まずフロートを上げボートに位置を知らせるのだ。

海中での写真撮影は、いつもは写したい魚を見つけると、その魚に接近しシャッターを切っていたが、

ここ、パラオの海中では狙う魚が特定できない・・・・(魚が多種多様で多すぎる  (笑)

流れが速い場所では、カレントフックを使用し流されないように固定するので、魚を追って撮る事ができない。

なので、撮った写真は、動かずに近くによってくる魚を撮るだけ。

魚影が多すぎて被写体を絞れないので、動画を主に撮った。

ダイビング動画 パラオの海中 へ

 

2年ぶりであるがとっても楽しく潜ることができた。

ダイビングを始めて20年超、本数は100を超えたばかりであるが、

あっちこっち潜ったし、そろそろ良いかなぁ〜・・・・  などと 思い始めていたので、

今回のパラオでダイビング卒業をも考えていたのである・・・・、

しかし、

パラオの海は素晴らしく、特に今回4本目のブルーコーナーでは、魚の種類と数の多さに感激してしまい、

また潜りに来ようと、心に誓ってしまい 

お終いのつもりが、またダイビングの始まりとなってしまったようだ(笑)

 

 

 

3/12 ダイビング後は、 トリトリでパラオ日本料理で夕食

とりとり と言っても 焼き鳥屋ではなかった(笑)

地元のビール で ツカレナオース

きゅうりの漬物 が お通し

海鮮 揚げ餃子  (魚のすり身の餃子)

シャコ貝の炙り と刺身

豚の角煮

タピオカ

イカ焼き

日本酒

パラオ産の サァサップ茶

忙しく動き回っていたマネージャーは日本人女性 

対照的に現地人スタッフの動きは、の〜んびり ゆっくり  

あの女性マネージャーは、イライラの連続なのだろうなぁ〜 (笑)  タピオカのサービス ごちそうさんでした!

 

となりのコーヒー店へ

日本語をしゃべる若い現地スタッフ    

ワタシ ナゴヤにいたよ  カワラマチに・・・・、

店内

  アメリカンもうすい    エスプレッソコーヒーもうすい

帰りに スーパーで ヨーグルトを買う

あのコーヒーショップのおねえさんの うすいエスプレッソには笑ったが  「うすい」は「おいしい」の意味だったのかも   名古屋弁か? ちがうでしょ(笑)

 

 

 

3/13   ダイビング後の夕食は ホテルの隣の 地元の食堂 MJバーガーハット

うどんのような麺の入ったスープ  と チャーハン

お支払い  日本語通じない・・・。

ここは地元民の食堂なので 安い  ビールは2ドル 

うどん入り?のスープ  チャーハン ともに とっても口に合い 安くて美味しかった。

 

6日目   ドルフィン・シンフォニー へ