パラオ 2、3日目 ボートダイビング            2016.05.18-19

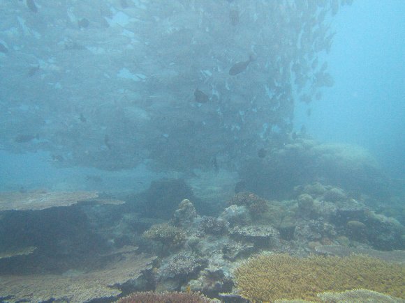
これこれ、この魚の群れを見たくて、又しても来てしまったのだ。

 

2日目 スキューバダイビング

ダイビングサービスは、前回と同じ スプラッシュ 8時のピックアップ

スプラッシュへ

ダイビングサービス横のショップ

ダイブNo.110 サンドバー

2ケ月ぶりなので、不安もなく潜行

快適な海中遊泳で、写真を撮っていたら ・・・・

突然液晶が真っ黒に・・・・・、 ありゃりゃぁ〜 バッテリー切れか

撮影をあきらめ、ダイビング。

大きなナマコ。

小魚が 岩を形どる

マジリアイゴのカップル

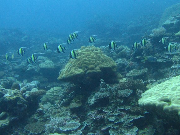
ツノダシの遠足?

ボートで休憩、早めのランチ。

カメラのバッテリーを交換したが、液晶は真っ黒・・・・  水没してしまったか?

・・・しかし、起動ランプは点滅し、 シャッター音もする。

液晶の故障で、撮影は可能なのかも??

 

ダイブNo.111 ウーロンドロップオフ

液晶の真っ黒なカメラを持って潜行。

被写体へ向け、適当にシャッターを切る、 ホテルに帰ってからパソコンで確認したら、 写っている?!

以下、真っ暗なまま撮った写真。

ウメイロモドキ 

ギンガメアジ

ネムリブカ 

ハナビラクマノミ

目くら撮りなのに、けっこうきれいに撮れている、

動画もバッチリだった。

見えても、見えていなくても 同じようにに撮れるっ てぇ事は、

私の 目で見ての撮影技術は、 全くない という事なのだろうか(笑)

 

空港へ迎えにきてくれた ガイドから、 角の店の タンタン麺 が美味しい との情報で、

ホテルから、徒歩2分の ダウンタウンの角の中華屋で、夕食。

中華麺食  チャイニーズ・ファスト・フード

海老 チャーハン 薄味だが海老とのマッチングが絶妙な味

タンタン麺   きしめんのような、手打ち麺 

焼き餃子  ニラ肉たっぷりの デカ餃子

このお店、日本語はあまり通じない 中国人のお店のようだ。

メニューの漢字の感じで注文(笑)

美味しい、安い、量が多い  地元の人向けの店なのだろう。

食べたものは、各々7ドルくらい 3品を 2人で食べたが 食べきれず、 餃子は何個か残してしまった。

こんんなにも 腹いっぱい、もう食えねぇ くらい 食べたのは 何年ぶりになるだろうか?

 

 

 

 

3日目 スキューバダイビング

8時15分のピックアップ  (NHK朝ドラ とと姉ちゃん を見るために 遅らせてもらった)

天気はどんより、 時々雨

 

ダイブNo.112  ブルーコーナー

さすがに 潜行したとたんに、魚の群・・・・

3月の時よりは 群れが少な目だが 多種多様の魚と遭えた。

この日は、レンタルカメラで撮影  オリンパスのタフ だが

私の キャノンD30 とは、水中での色目がダイブちがう。 

何と浮上時、安全停止に失敗  泊まれずに浮き上がり浮上してしまった。

船上で気づいたが、 どうやら ウェイトを落としてしまったようだ。

 ゴーヤちゃんぷる弁当 と 魚弁当

 

ダイブNo.113  ジャーマンウォール

ここでは、たまにマンタが見られるという事で、 気をいれて潜行

コバンザメを従えた ツカエイが 砂に隠れている処を見ることができた。

浮上時の安全停止も完璧にでき。

 

スプラッシュに戻る

海の水がきれい

花もきれいに咲いている

ダイビングの動画

 

ホテルへ戻り、 入浴・昼寝後 ダウンタウンへ

前回から気になっていた 「Yano’s 」 矢野商店で 惣菜を購入。

ホテルの部屋に キッチンがついているので 買い物の枠が広がる

チキン、フィッシュ、ポーク、シャコガイなどの料理があり、

おすすめ No1は シャコガイ

おすすめ No2は ポーク  おすすめ通りに購入   &豆腐のサラダ

となりのスーパーで、ウィスキーを購入

ホテル近くの店で ヤシの実 バナナを購入

ホテルの部屋で ディナー

飲み放題、食い放題のメニュー

この店で売っているのは、ホテルの部屋から見える ヤシの実 とバナナ なんだろうな〜 と思いながら購入

バナナは  甘味、酸味の新鮮な 日本では食べられない美味しい味だ。

4日目 サウスロックアイランド・カープ島