| カリブの真珠 ベリーズ ダイビング編 2019.03.15-16
ブルーホール 深度42m |
15日
6時半起床
7時半にいつものレストランで朝食
この日は、スノーケリング組とは別れ、ダイビングショップへ
いつもの 朝飯屋 |
ダイビンボートで、ガイドのブリーフィング 英語なので何言ってるのかわかんない |
この日も風が強く、予定していたキーカーカーのリーフではダイビングができないので、
ベリーズ・シティの近くのポイントまでボートで移動。
あまり見ないコーラルも多く、景色は面白かったが
魚は少なく、2本目スキースロープ は飽きてきた(笑)
スキースロープ
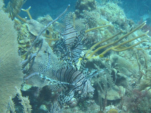
ちょっと変わった ミノカサゴ |
マクロな カニ |
弁当を持って行ったが 揺れるボート内では ランチもできず、帰還してから食べる。
当初は午前中で終わる予定だったが、ポイントが遠くなったので14時すぎになってしまった。
| DivNo | 年月日 | 地名 |
ポイント名 | 潜水時間 | 気温 | 水温 | 深度 | 透明度 | ダイブサービス | ダイブ内容 | 感想 |
124 |
19.03.15 |
ベリーズ |
スキースロープ | 46 |
30 |
27 |
22 |
10 | フレンシグ |
ボート |
変わったコーラル |
125 |
19.03.15 |
〃 |
ガローズポイント | 47 |
30 |
27 |
19 |
10 | 〃 |
〃 |
ウツボ、ミノカサゴ |
ダイビング・コンピュータは、新品を使用。
今回の準備中、ダイブコンピューターの説明書と 予備バッテリーはあったのだが、
肝心の 本体が見つからない、 ・・・・前回のダイブの時、どこかに忘れてきたようだ。
20年以上前に、オアフ島で購入した、スントー製 表示が大きく見やすかったのだが・・・
今回の為、名古屋のショップで 購入したものだ。
夕食は、ジャマイカ料理の Roy'sレストラン
この店は、海岸沿いでなく 道一本入った奥の立地で、
風が通らず、暑い。
床はなく地面に、椅子、テーブルが置いてあり、 水平がとれていなく 傾いている(笑)
帰りに、100円ショップ風の看板の店で 飲料を購入
100円ショップじゃなかった。
ベリーズの人たちはあまり働かないので、中国人経営が多いそうだ、
いかにも中国人らしく・・・態度が悪い(笑)
16日
この日は ブルーホール・ダイビングなので朝早い
4時半起床、5時20分出発
暗い中、歩いてダイブサービスへ |
添乗員さんが作ってくれたアルファ化米のおにぎり 今回の旅で一番美味しかった(笑) |
![]() 今回の参加者 プライバシー保護の為、顔をぼかしています。 小倉の西表縦走M夫妻 私達 横浜のM美女姉妹 岡崎のしまんちゅSさん 7名 みなさん、気さくで楽しい方たちだった。 |
ボートをブッ飛ばし ブルーホールへ向かう 約2時間かかる |
スノーケル組 4名は、ブルーホールのリーフ
ダイビング組 3名は、ブルーホール深度40mの鍾乳洞へ
私のカメラは、キャノンパワーショットD30 メーカー表示の潜水深度は25m。
前回ジブチで深度36mまで持って行って壊れなかったので、深度40mに挑戦しようか、
迷ったあげく ・・・・・・ 水圧で壊れると その次が取れなくなる 持って行かず船に残す。
下の4枚は、ネットで拾ったもの
![]() |
![]() |
![]() |
![]() |
この2枚は、Mさんに撮ってもらったもの。
![]() 水中ライト 点灯中 |
![]() 洞窟の天井から 下がっている鍾乳石 |
私のダイブコンピュータでは、43mを記録
思ったよりは明るかったが、洞窟の壁や、天井、鍾乳石などはライトを当てないと見えない。
この日の為、アマゾンで水中カメラを 2個買ってもってきたのだ。
深度100mまでOK 充電池、充電器付きで、何と2,000円の安値。
なぜ安いのか・・・・・・・・、ON,OFF表示が逆になっている(笑)
防水パッキンが3重になっていて、点灯操作がとっても重く使いにくい。
帰宅後、防水パッキンを2個外し、スイッチを軽くして通常使用する事にした。(生活防水程度で使えそう)
深い深度では、エア消費が早いので 潜水時間は27分だった。
潜航は、思ったよりスムーズに40mまで行ったが(こんなに早くていいのかな?)
浮上は、ゆっくりと 潜水病にならない様に浮上した。
この日の 2本目 ハーフムーンウォール
人なつっこい ソイ |
迷路の様 |
サメが悠然と泳ぐ
サメに見入るダイバー |
ゆるゆると泳ぐ |
アオイロスズメダイ? シリキスズメ? |
透明なエビ |
熱帯魚の水槽の様な光景
ガイドと ツーショット |
ハーフムーン島にあがり ランチ |
2ダイブ後、ハーフムーン島でランチ&休憩タイム
ランチ後 奥地へ散策
森の中を歩く |
ヤドカリ |
動かないイグアナ |
動き回るイグアナ |
軍艦鳥 奥の赤いのは発情期 |
うぶ毛のカツオドリの幼鳥 |
カツオドリ |
椰子の実 |
地に落ちた、椰子の実から目が出ている。
南洋の島の風景
この日の3本目 ロングキーアクアリウム
![]() 魚影が多い |
![]() 楽しい |
![]() 写真を |
撮り合う |
魚が多く 隠れてしまったYさん |
顔が魚になりそう はるカミ |
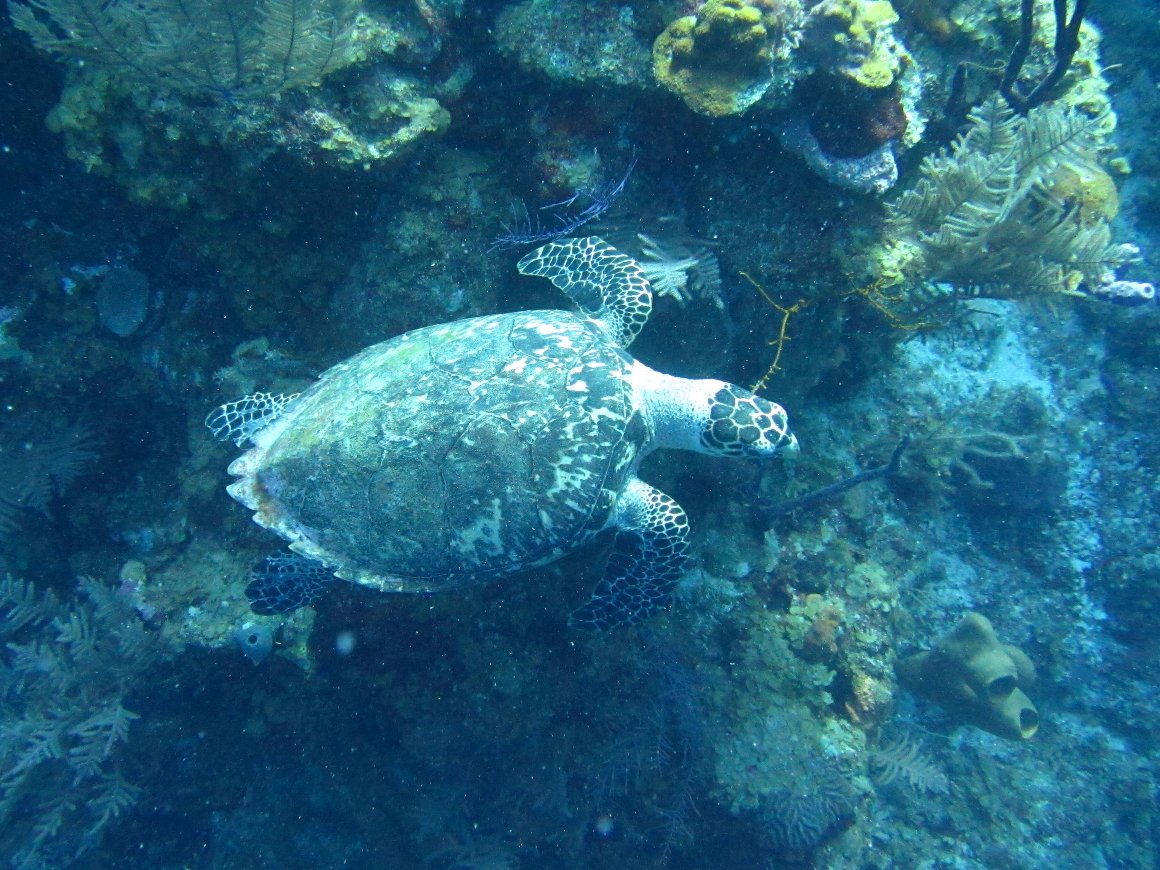
優雅に泳ぐ ウミガメ
コーラルの種類も豊富 |
ダイビング終了後 ホテルへ |
この日のダイビング・ログ
| DivNo | 年月日 | 地名...... |
ポイント名.................................. | 潜水時間 | 気温 | 水温 | 深度 | 透明度 | ダイブサービス | ダイブ内容 | 感想............................................ |
....126... |
19.03.16 |
ベリーズ |
ブルーホール | .........27....... |
..30.. |
...27... |
...43.. |
....10 |
......フレンシグ..... |
.........ボート.... |
深度40mにある鍾乳洞 |
127 |
19.03.16 |
〃 |
ハーフムーンウォール | 46 |
30 |
27 |
25 |
15..... | 〃 |
〃 |
複数のサメがウロウロ |
128 |
19.03.16 |
〃 |
ロングキーアクアリウム | 49 |
28 |
27 |
18 |
15 | 〃 |
〃 |
ウミガメ 3匹 |
この日の夕食は海辺のレストラン
前菜 |
フィッシュ |
シュリンプ |
ステーキ |